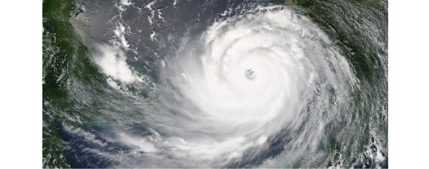
Hurrikan Katrina am 28. August 2005 unmittelbar vor der Überflutung von New Orleans: Eine „thermodynamische Maschine“ in der Atmosphäre, die ihre zerstörerische Bewegungsenergie mit Windgeschwindigkeiten von mehr als 250 km/h aus dem Freisetzen der Kondensationsenthalpie bezieht. Die Wolken mit scharfen Konturen sind Wasserwolken, die Eiswolken zeigen unscharfe Konturen. Bild: NASA image courtesy the MODIS Rapid Response Team at Goddard Space Flight Center.

Rudolf Clausius – Wegbereiter der modernen Klimaforschung

Ausgabe 61 | Mai 2022 | „Clausius‘ Vermächtnis ist aktueller denn je und für uns zugleich Mahnung, behutsam mit den Ressourcen unserer Erde umzugehen! “ Joachim Ullrich, Präsident der Deutschen Physikalischen Gesellschaft Zum Gedenken an Rudolf Clausius, der vor 200 Jahren geboren wurde.

Download: Physikkonkret 61 - Rudolf Clausius – Wegbereiter der modernen Klimaforschung [PDF]

61-PK-2022_Clausius1_2022-05-18.png
61-PK-2022_Clausius1_2022-05-18.png

  • Rudolf Clausius (1822 - 1888) gilt als Entdecker des zweiten Hauptsatzes der Thermodynamik sowie als Schöpfer der Begriffe Entropie und Enthalpie.
  • Seine Beiträge zur Physik der Atmosphäre waren wegweisend.
  • Wasserdampf ist dominierendes Treibhausgas, macht die Erde aber erst lebensfreundlich.
  • Unwetter lassen erahnen, wie viel Energie im Klimasystem steckt.

Wie bedeutend die Erkenntnisse von Rudolf Clausius (*2. Januar 1822 in Köslin; † 24. August 1888 in Bonn) für die Klimaphysik sind, erkennt man am sechsten Sachstandsbericht der Arbeitsgruppe I des Intergovernmental Panel on Climatic Change IPCC, der im August 2021 veröffentlicht wurde: Allein im Kapitel 8 über die Veränderlichkeit des Wasserkreislaufs im Klimasystem wird Clausius 12-mal erwähnt1. Im Zentrum stehen dabei die Phasenübergänge von Wasser zwischen fest, flüssig sowie gasförmig. Wasserdampf ist dabei das dominierende Treibhausgas der Erde – ohne Wasser in der Atmosphäre wäre die Erde ein öder, unbewohnter Eisplanet.

Für die Beschreibung der Phasenübergänge ist die Clausius-Clapeyron-Gleichung zentral. Das ist eine Differentialgleichung, die die Temperatur des maximal möglichen Gasdrucks von Wasserdampf („Sättigungsdruck“) in Abhängigkeit von der Kondensationsenthalpie2 und der Molmasse von Wasser beschreibt. Einfach ausgedrückt, beschreibt die Clausius-Clapeyron-Gleichung, unter welchen Bedingungen sich Wolken bilden oder auflösen respektive es anfängt zu regnen oder zu schneien. Diese Vorgänge setzen Energie frei oder entziehen einem System Energie. Die Clausius-Clapeyron-Gleichung beschreibt somit die Kopplung des Wasserkreislaufs mit dem Gesamtenergiehaushalt der Atmosphäre im Klimasystem.

Generell haben Wolken drastische Auswirkungen auf die Strahlungsbilanz der Erde. Wie stark diese genau sind, ist jedoch noch immer Gegenstand aktueller Forschung. Wie viel Energie und Wucht im Wettergeschehen durch die Phasenübergänge des Wasserdampfs stecken kann, zeigen jedoch die dramatischen Ereignisse im Juli 2021 an Ruhr/Erft/Ahr/Maas oder im März/April 2022 in Ost-Australien, um nur einige Unwetter mit ihren schrecklichen Folgen zu nennen.

Clausius‘ Aufsatz „Über die Energievorräte der Natur“3 aus dem Jahr 1885 würde man heutzutage zudem als einen Aufruf zur Nachhaltigkeit verstehen. Clausius nannte diesen Begriff zwar nicht explizit, bezog sich aber ausdrücklich auf dessen forstwirtschaftliche Ursprünge.

Heute erfolgt die Förderung der Klimaforschung im Wesentlichen durch das Bundesministerium für Bildung und Forschung, und zwar durch das Programm Forschung für Nachhaltigkeit FONA4. Hier werden wissenschaftlich-technologische Entwicklungen u. a. zur Kreislaufwirtschaft, zum Klimaschutz oder zur Ressourceneffizienz unterstützt. Diese Begriffe basieren alle auf der strikten Anwendung der Erkenntnisse des 1. Hauptsatzes der Thermodynamik zur Energieerhaltung und wurden von Clausius in dem fast 140 Jahre alten Referat bereits als Aufgaben formuliert (wenn auch nicht in der Namensgebung von heute), damit sich „jene für das zukünftige Wohl der Menschheit so wichtige Frage [Probleme der Klimaforschung], wenigstens allmählich, einer einheitlichen Behandlung entgegenführen [lässt]“ (Schlusssatz in Clausius, 1885)3.

 


Fußnoten

1. The Physical Science Basis. Contribution of Working Group I to the Sixth Assessment Report of the Intergovernmental Panel on Climate Change https://www. ipcc.ch/report/sixth-assessment-report-working-group-i/

2. Die Kondensationsenthalpie ist die Energie, die frei wird, wenn eine gegebene Menge eines Gases bei einer bestimmten Temperatur kondensiert.

3. R. Clausius (1885): Ueber die Energievorräthe der Natur und ihre Verwerthung zum Nutzen der Menschheit, Bonn, Verlag von Max Cohen & Sohn (Fr. Cohen), 26pp

4. https://www.fona.de/de/

 

Die Deutsche Physikalische Gesellschaft dankt dem Autor Andreas Hense vom Institut für Geowissenschaften der Universität Bonn.